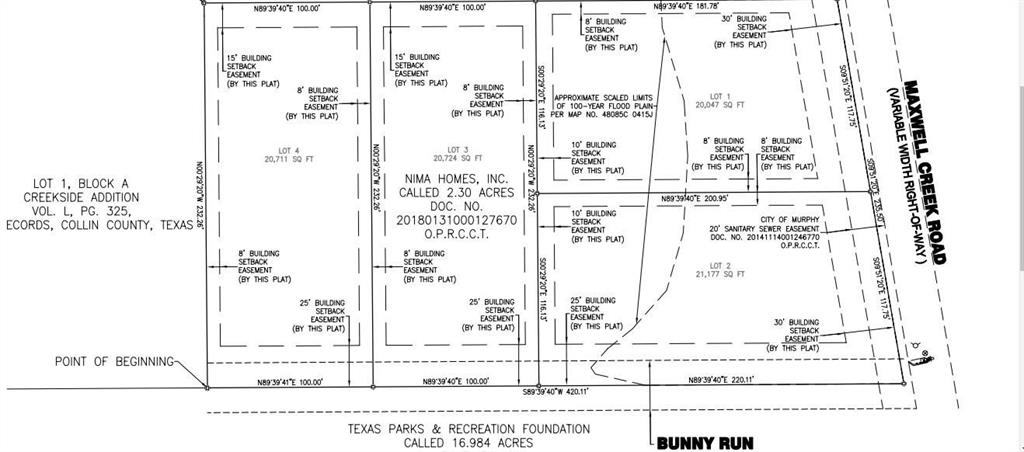
LOT 2 Maxwell Creek RoadMurphy, TX 75094

Discover the perfect canvas for your dream home on this expansive, approximately half-acre+ residential lot (Lot #2) in the heart of Murphy. Situated within the award-winning Plano ISD, this property offers the rare combination of wide frontage and exceptional depth. The lot is predominantly beautifully flat and ready to build, providing a fantastic foundation for construction. A portion of the front half of the property lies within a designated floodplain, which creates a naturally enhanced setback from the street. This unique feature adds to the sense of depth, allowing for a grander approach to your future home while ensuring the expansive, usable backyard space is completely clear and ready for a custom residence, pool, and more.
| 15 hours ago | Listing updated with changes from the MLS® | |
| 15 hours ago | Listing first seen on site |
© 2020 North Texas Real Estate Information Systems. All rights reserved. Information is deemed reliable but is not guaranteed accurate by the MLS or NTREIS. The information being provided is for the consumer's personal, non-commercial use, and may not be reproduced, redistributed, or used for any purpose other than to identify prospective properties consumers may be interested in purchasing.
Last checked: 2026-02-26 06:59 AM CST


Did you know? You can invite friends and family to your search. They can join your search, rate and discuss listings with you.