1875 W WintergreenLancaster, TX 75134

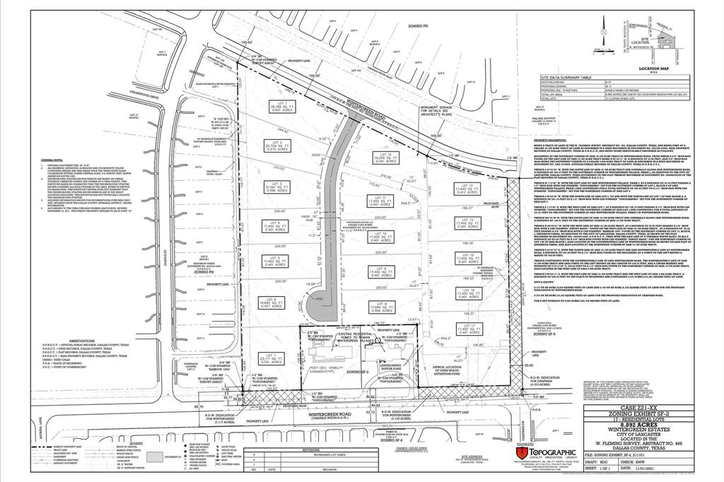
Prime Development Opportunity! This 9.49-acre parcel, approved by the City of Lancaster for SF-2 zoning, offers an exceptional chance to build in a growing community. The land is divided into roughly .4-acre lots, each with easy access to water, sewer, and electricity right next to the subdivision. Surrounded by established homes and multiple developments underway by top homebuilders, this location is poised for growth. The property comes with completed surveys, geotechnical, environmental, and tree studies, making it development-ready. Don't let this rare opportunity pass you by—build your next dream subdivision here! With a minimum build requirement of 2,100 square feet, this is your chance to bring quality homes to a thriving area. Note: Buyer will need to plat the lots. For even greater opportunity, consider combining this parcel with the nearby 1651 W Wintergreen Rd, a 3.318-acre property also for sale, bringing the total to 12.808 acres—a prime development package!
| 24 hours ago | Listing updated with changes from the MLS® | |
| 24 hours ago | Listing first seen on site |
© 2020 North Texas Real Estate Information Systems. All rights reserved. Information is deemed reliable but is not guaranteed accurate by the MLS or NTREIS. The information being provided is for the consumer's personal, non-commercial use, and may not be reproduced, redistributed, or used for any purpose other than to identify prospective properties consumers may be interested in purchasing.
Last checked: 2025-12-27 06:56 PM CST


Did you know? You can invite friends and family to your search. They can join your search, rate and discuss listings with you.